Cable Based Connection Overview
The cable based connection overview is a great way to get a quick summary of all installation cable and tray connections from a rack to different endpoints.
Quick Overview

Hover over the top right corner of any cabinet or rack component. A quick overview of cable connections in the cabinet or rack component will be displayed. You can also view the total, occupied and free wires and fibres in the cables as well as their types.
Detailed Overview

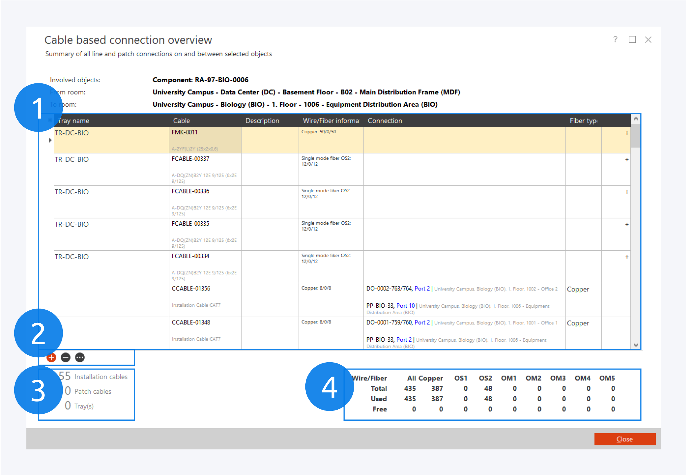
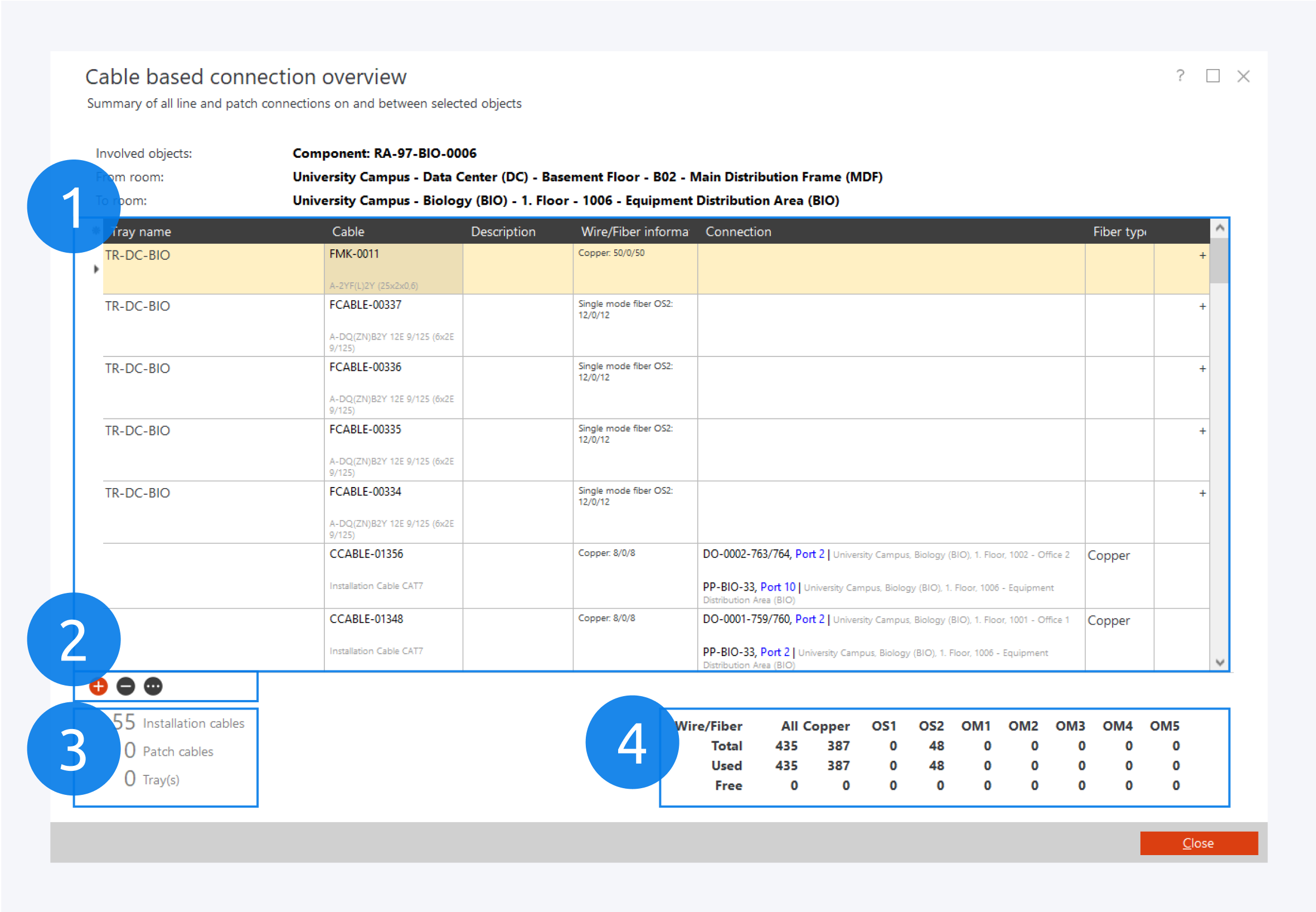
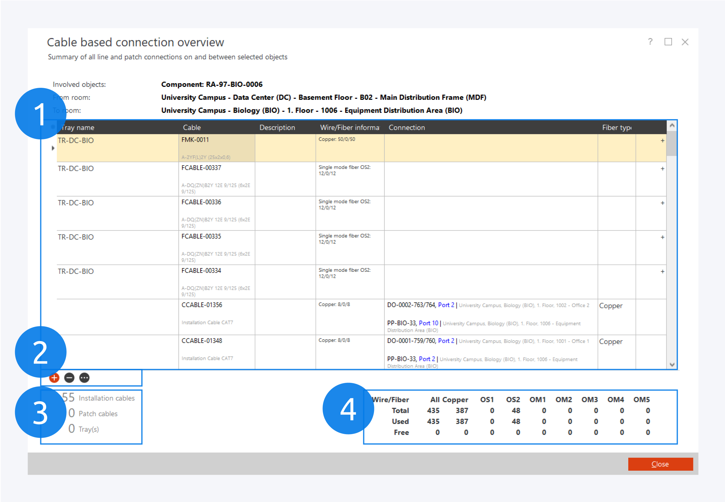
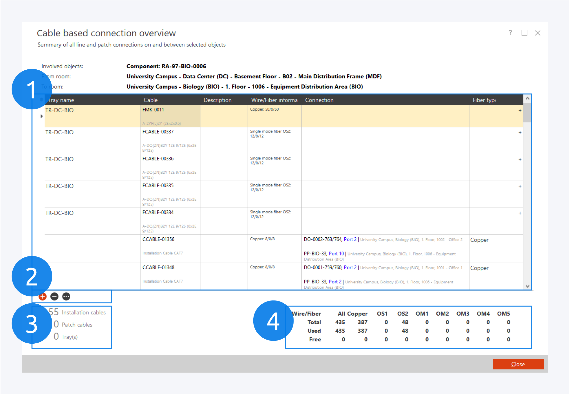
Double click on the top right corner of a cabinet or rack component to open the detailed overview of the cable based connections.
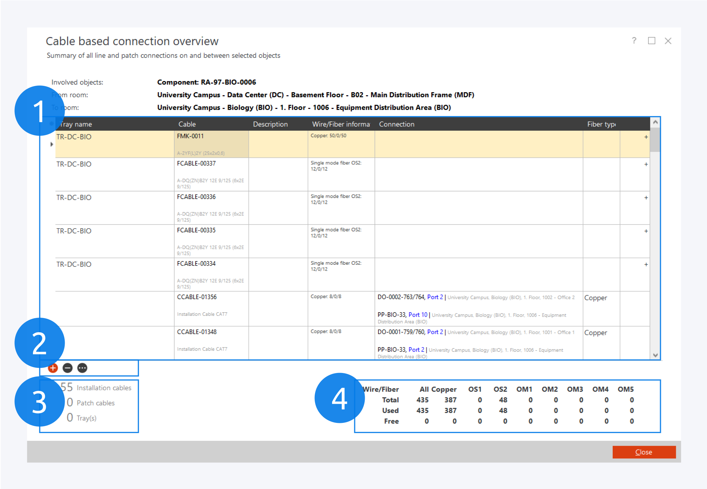
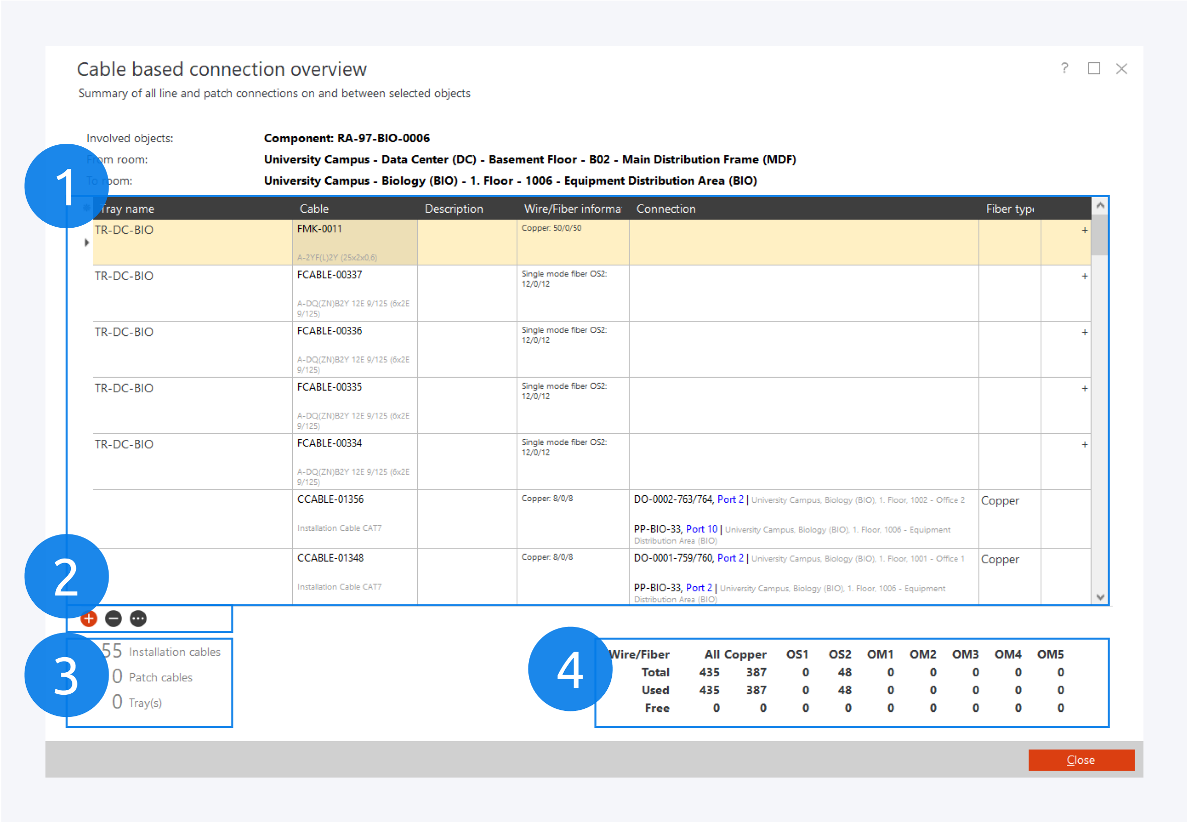
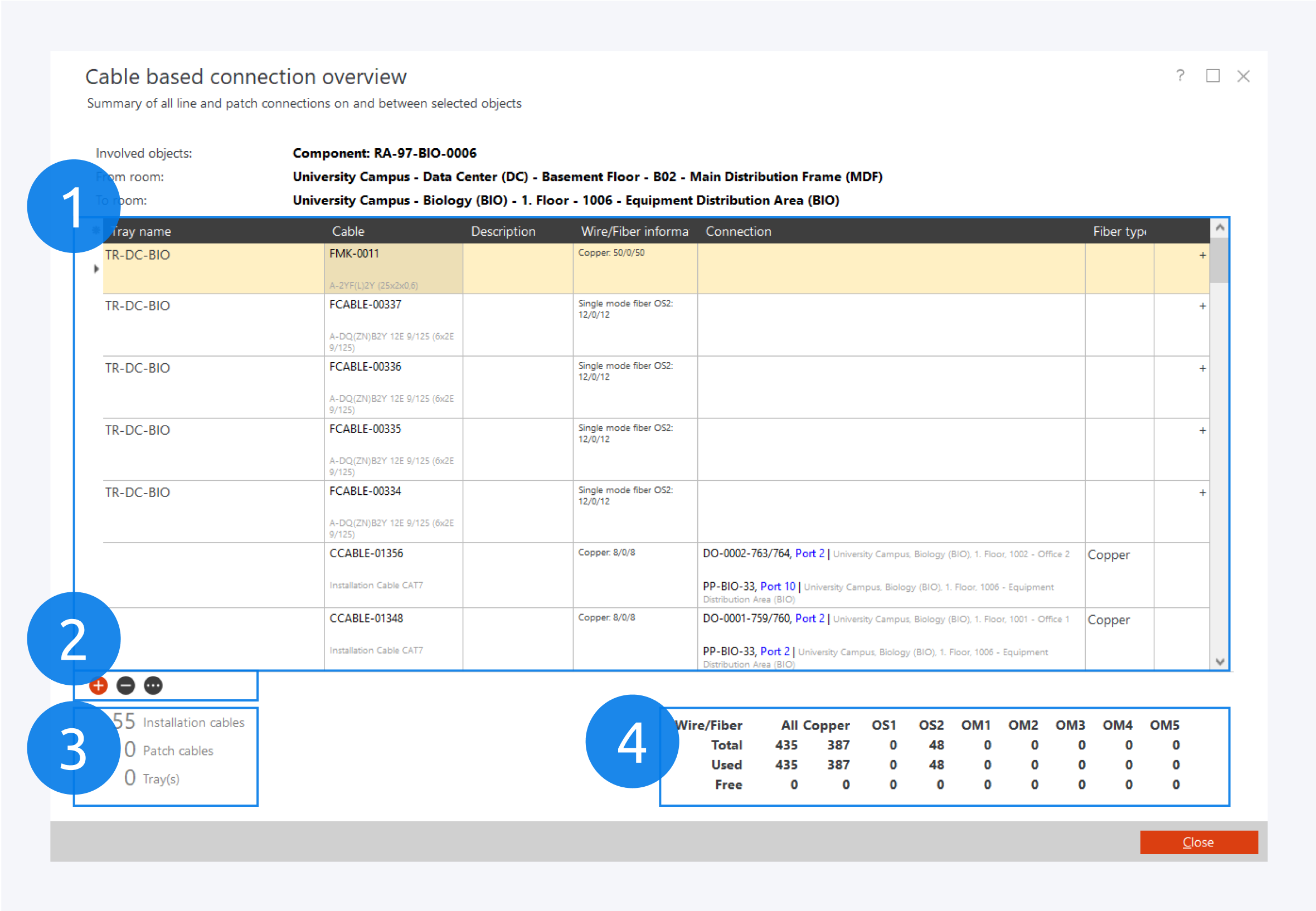
You can view the cable information here (1). Right click a cable for more options (see below).
You can add, delete and add cables to trays here (2).
The amount of cables connected to a component in the cabinet or rack are displayed here (3).
A summary of the wires and fibres is provided here (4).

The context menu provides the following options:
Place cables: Open the advanced installation cable dialog to edit the connections of the cable.
Delete cable: Remove the selected cable.
Add to tray: Add the selected cable to a tray.
Show network path: Display the entire network path of the cable.
Show in front view: Show the component in front view.
External applications: Access external applications, like Putty and telnet.
Properties: View cable properties.